
| Also known as |
|---|
| Previous Address |
| Constructed |
| Style |
| Architect |
| Builder |
Timelapse Building Images
No Entries Found
Land Details
- current area
- 1895 MMBW Map
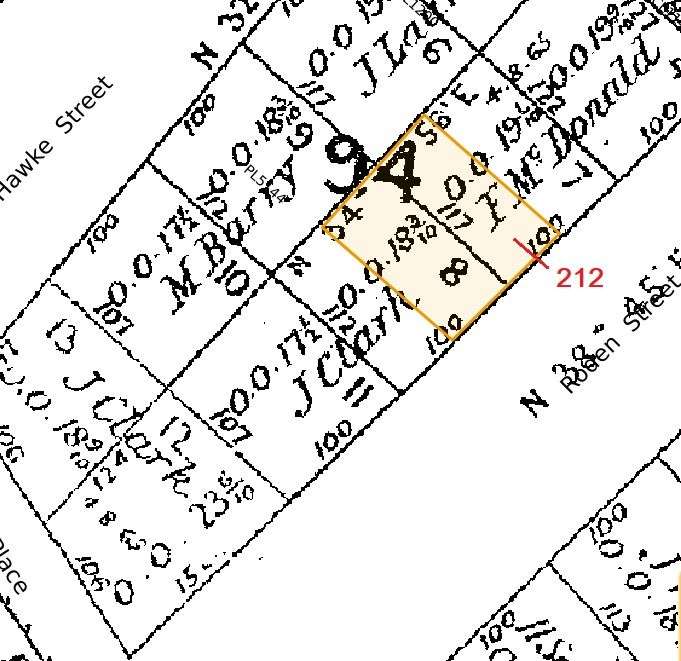
- Compiled Crown Record Plan showing Mr. F. McDonald was the first Crown land purchaser.
Building Details
No Entries Found
Subsequent Building Alterations
No Entries Found
Architectural Features
No Entries Found
Heritage Significance and Listings
| Heritage Listings and Explanatory Notes |
|---|
Owners
| From | To | Owner | More Info | Data Source |
|---|---|---|---|---|
| to date | Private | source: Hatcher Index | ||
| F. McDonald, first Crown land purchaser | source: Hatcher Index | |||
| abt 40 thousand years earlier | 1835 | Boon Wurrung and Woiwurrung (Wurundjeri) peoples of the Kulin Nation | https://en.wikipedia.org/wiki/History_of_Victoria | source: Hatcher Index |
Residents
| From | To | Resident | More Info | Data Source |
|---|---|---|---|---|
| to date | Private | source Hatcher Index | ||
| 1945 | 1974 | Humes Limited (steel divison) | source: Sands & McDougall directory, transcribed by Lynn Kimber 2020 | |
| 1940 | 1940 | Syme D & Co. storage | source: Sands & McDougall directory, transcribed by Lynn Kimber 2020 | |
| 1935 | 1935 | Stanley G. Bailey | source: Sands & McDougall directory, transcribed by Lynn Kimber 2020 | |
| 1930 | 1930 | Clifford Francis | source: Sands & McDougall directory, transcribed by Lynn Kimber 2020 | |
| 1920 | 1925 | David Mars | source: Sands & McDougall directory, transcribed by Lynn Kimber 2020 | |
| 1910 | 1915 | Mrs. Isabella Smith | source: Sands & McDougall directory, transcribed by Lynn Kimber 2020 | |
| 1905 | 1905 | Robert Bass | source: Sands & McDougall directory, transcribed by Lynn Kimber 2020 | |
| 1900 | 1900 | Clarence Martin | source: Sands & McDougall directory, transcribed by Lynn Kimber 2020 | |
| 1870 | 1895 | Matthew Manders | source: Sands & McDougall directory, transcribed by Lynn Kimber 2020 |
Social History
Context and Streetscape
| Precinct |
|---|
| Zoning |
|---|
|
The controls listed below affect this property: |
| Streetscape |
|---|
Other Information
No Entries Found


